中兴商务花园总平面调整规划方案批前公示
根据城乡规划管理有关规定,为广泛征求社会各界和市民的意见和建议,现按程序对中兴商务花园总平面调整规划方案进行批前公示。
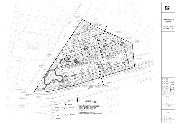
一/项目概况
建设单位为宜兴市中兴房地产开发有限公司,该项目位于实验中学西侧地块,地块具体范围:南至龙潭路,西至河流,东、北至实验中学。设计范围用地面积2.14公顷,总建筑面积约29348平方米(其中包括地下建筑面积10095平方米),用地性质为办公用地。
二/调整原因及内容
为优化建筑外立面效果,保障购房者合法权益,
将建筑外立面细节优化,并调整总平,分期开发建设。
三/公示地点
宜兴市自然资源和规划局网站(http://www.yixing.gov.cn/zrzyghj)
基地现场
四/公示时间
2024年12月16日 —— 2024年12月25日
五、联系方式和意见反馈
联系地点:宜兴市自然资源和规划局(宜兴市解放东路191号荆邑广场)
邮政编码:214200
联系电话:0510-87669919 ,0510-87669991(传真)(传真)
电子邮箱:409584829@qq.com
公示期间如有意见或建议,请反馈我局(请注明本人身份、联系电话或地址)
此方案仅用于规划公示,最终以正式批准内容为准。公示期间如有意见或建议,请反馈我局(请注明本人身份、联系电话或地址)。
六、总平面图及鸟瞰图

原效果


调整后效果
宜兴市自然资源和规划局
2024年12月16日

